11月23日,临沂智慧云仓智能冷链仓储园项目用地规划出炉
11月23日,临沂智慧云仓智能冷链仓储园项目用地规划出炉
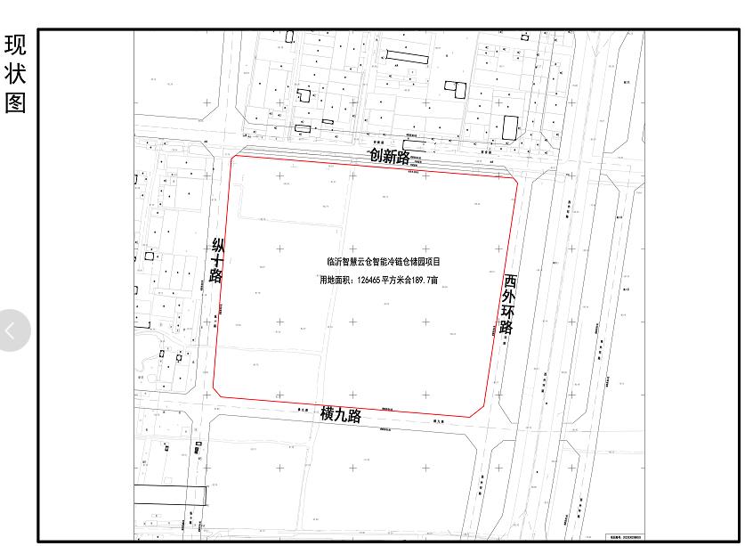
11月23日,临沂行政审批局最新消息:临沂智慧云仓智能冷链仓储园项目用地规划许可公示,建设单位临沂智慧云仓运营管理有限公司,项目面积189.69亩,是一宗物流仓储用地,位置就在兰山区义堂镇!



我们来看一下建设单位的组织架构!
临沂智慧云仓运营管理有限公司成立于2022年09月23日,注册地位于山东省临沂市兰山区金雀山街道沂蒙路338号金坛路与沂蒙路交汇路东路南100米,法定代表人为孟凡钧。
经营范围包括一般项目:企业总部管理;园区管理服务;供应链管理服务;非居住房地产租赁;机械设备租赁;租赁服务(不含许可类租赁服务);包装服务;货物进出口;企业管理咨询;仓储设备租赁服务;物业管理;工程管理服务。
许可项目:海关监管货物仓储服务(不含危险化学品、危险货物);保税仓库经营;出口监管仓库经营;建设工程施工。(依法须经批准的项目,经相关部门批准后方可开展经营活动,具体经营项目以相关部门批准文件或许可证件为准)
股东为:深圳市创金产业发展有限公司、临沂市兰山区财金投资集团有限公司,妥妥的临沂国企项目!



根据金台资讯消息看到了兰山财金智慧云仓物流园项目效果图!

另外,当时农发行临沂市分行成功投放农发基础设施基金1.1亿元,用于支持兰山财金智慧云仓物流园项目!

本项目意义非凡,在2021年,国家发改委发布《国家物流枢纽网络建设实施方案(2021-2025年)》,该方案提出了要稳步推进120个左右国家物流枢纽布局建设,以此来支持城市群内国家物流枢纽共建共享共用和一体化衔接,而我们临沂市作为物流之都,自然不能甘于人下,必须上马项目!
当时敲定的兰山财金智慧云仓物流园项目拟建设6座仓库,配套建设门卫、消防水池、消防水泵房、机动车停车位、非机动车停车位等,非常的先进,一旦建成,可以助力临沂市物流园区实现数字化的转型升级以及智慧化的运营管理。
此项目对于临沂市传统物流行业的转型是一次突破性的尝试,相信后期,会有更多的智慧型物流园不断产生!
大美临沂,物流之都,加油!
#临沂头条#
#临沂#
标签:
